AFFITTASI LABORATORIO ZONA VIALE MONZA/SESTO MARELLI

Milano - zona Villa San Giovanni

Rif: IMMO-126283355
Condividi Linkedin Whatsapp Stampa
€ 2.500
Affitto
Laboratorio
165 Mq
Classe energetica G
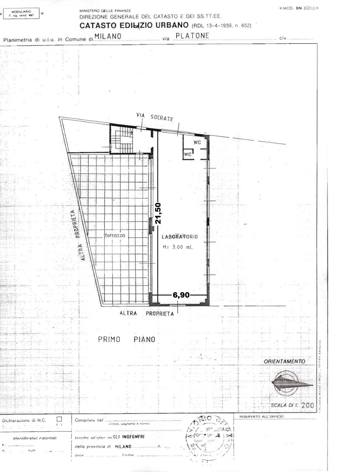
AFFITTO - Zona Viale Monza, a 6 minuti a piedi dalla fermata della metropolitana rossa SESTO MARELLI, in stabile terziario, proponiamo al primo piano senza ascensore, laboratorio di 165 mq circa composto da un locale open space, doppi servizi con antibagno e doccia e terrazzo di pertinenza di 150 mq circa. L' immobile, con doppia esposizione, si presenta in buone condizioni di manutenzione con pavimentazione in linoleum, infissi in alluminio e doppio vetro e impianti di riscaldamento e condizionamento autonomi. La zona in cui si trova l'immobile è nelle vicinanze di Viale Marelli, situato tra Milano e Sesto San Giovanni, è un asse storico simbolo dell'industrializzazione lombarda e oggi in fase di profonda riqualificazione urbana. Spese condominiali Eu. 50,00 mensili. LIBERO SUBITO!

Dettaglio immobile

Contratto Affitto
Rif IMMO-126283355
Prezzo € 2.500
Provincia Milano
Comune Milano
Zona Villa San Giovanni
Indirizzo Via Socrate 71
Superficie 165 mq
Classe energetica G (DL 192/2005)
EPI 65 kwh/m2 anno
Riscaldamento autonomo
Condizioni abitabile
Spese condominiali € 50
Ascensore no

Consistenze

Descrizione Superficie Sup. comm.
Principali
Laboratorio - 1° piano 165 Mq 165 Mqc
Totale 165 Mqc

Video

Planimetrie

Richiedi maggiori informazioni

Autorizzazione al trattamento dei dati personali+
Dichiaro di aver letto l'informativa sulla privacy ed accetto le condizioni d'utilizzo del servizio.
Riempi il campo con il codice riportato nell'immagine*
Codice Captcha
FIMAA
Chiamaci Contattaci